台风“杜苏芮”

2023年被命名的第5号台风
1
4
台风杜苏芮(英语:Super Typhoon Doksuri,国际编号:2305,联合台风警报中心:05W[3]菲律宾大气地球物理和天文服务管理局:Egay[4] )是2023年太平洋台风季第5个被命名的风暴[5] 。“杜苏芮”一名由韩国提供,意为一种猛禽,鹰,用以更替因发音宗教问题遭到撤换的“彩蝶”,本次为“杜苏芮”一名第三次使用[6]
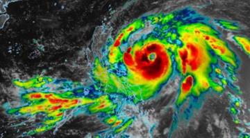
台风“杜苏芮”于2023年7月21日上午在西北太平洋洋面生成[5]。7月23日上午被中国气象局中央气象台升格为强热带风暴,早晨5点钟其中心位于菲律宾马尼拉偏东方向约920公里的西北太平洋洋面上,中心附近最大风力有10级(25米/秒)[7],7月23日下午被中央气象台升格为台风[8],7月24日被中央气象台升格为强台风[9],7月24日晚上升格为超强台风[10]。中央气象台认定其于7月25日达到峰值强度(62米/秒),7月26日凌晨登陆菲律宾富加岛,7月27日傍晚再次升格为超强台风。7月28日9时55分,“杜苏芮”在福建晋江沿海登陆,登陆时中心附近最大风力15级(50米/秒,强台风级)。[11]气象部门预报,“杜苏芮”可能成为2023年以来登陆中国的最强台风。[12]7月29日上午9时,台风杜苏芮(热带风暴级)位于江西省九江市境内,后续会移入安徽南部地区,强度有减弱[13]。7月29日11时,其风力进一步减弱,已很难确定其环流中心,中央气象台对其停止编号。[14]
截至2023年7月29日,台风“杜苏芮”已致中国台湾1人死亡,江西省1.9万人受灾、紧急避险转移1.1万人、紧急转移安置1559人,福建省266.69万人受灾,紧急避险转移39.95万人,紧急转移安置16.24万人。[15][16][17][18][19]其残余环流更在中国北方引发极端暴雨天气,造成严重灾情。据中国事后统计,“杜苏芮”共造成中国闽浙皖赣粤五省直接经济损失149.5亿元,其残余环流长期影响共导致154人死亡失踪,经济损失1873.1亿元。[20]菲律宾国家减灾委发布消息称,截至8月7日上午8时,台风“杜苏芮”和“卡努”带来的灾害已经造成菲律宾30人死亡、171人受伤,另有10人失踪,受灾人口超过324万。基础设施方面的损失超过36亿比索(约合人民币4.65亿元),农业方面的损失超过30亿比索(约合人民币3.88亿元)。[21]

台风详情

生成